0
Hello,
Favourite properties (0)
Saved searches
Selected for you
Notifications
Subscriptions
Settings
Sign out
Close

Local amenities

    PUBLIC TRANSPORT

  • Metro station "LOMSKO ShOSE" - 742 m (9 min.) - Line No: M2
  • Bus stop "METROSTANTsIYa LOMSKO ShOSE" - 686 m (9 min.) - Bus No: 26
  • Tram station "Targovski K-s Obelya" - 926 m (12 min.) - Tram No: 6
  • EDUCATIONAL INSTITUTIONS

  • Kindergarten "82 ODZ Dzhani Rodari" - 1.1 km (14 min.)
  • School "SU Za Detsa S Narusheno Zrenie „Lui Brayl“" - 928 m (12 min.)
  • School "61 OU "Sv. Sv. Kiril I Metodiy"" - 955 m (12 min.)
  • MEDICAL INSTITUTIONS

  • Hospital "DKTs 30" - 1.2 km (15 min.)
  • SHOPPING

  • Food market "hei" - 953 m (12 min.)
  • Supermarket "lidl" - 549 m (7 min.)
  • Supermarket "T-Market" - 943 m (12 min.)
  • Marketplace "Pazar Vrabnitsa" - 1.2 km (15 min.)
  • Pet shop "Alyaska" - 1.2 km (15 min.)
  • SERVICES

  • Bank "fibank" - 1.2 km (15 min.)
  • Bank "Tsentralna Kooperativna Banka" - 1.2 km (15 min.)
  • Pharmacy "Detelina" - 995 m (12 min.)
  • Postal service "PTTS Sofiya 126-1326" - 796 m (10 min.)
  • Postal service "speedy" - 1.1 km (13 min.)
  • Hair-dresser - 1.2 km (15 min.)
  • Beauty salon "enigma Studio" - 1.1 km (14 min.)
  • Vet "OP „Ekoravnovesie” - Klinika Vrabnitsa" - 710 m (9 min.)
  • RESTAURANTS & BARS

  • Restaurant "Severnyatsi" - 844 m (11 min.)
  • Restaurant "Katerichkata" - 855 m (11 min.)
  • SPORTS & LEASURE

  • Fitness centre "Fitnes Zala Kristal" - 700 m (9 min.)
  • Swimming pool - 779 m (10 min.)
  • Sports pitch "Kompleks Laguna" - 767 m (10 min.)
  • NATURE & SIGHTSEEING

  • Park "Severen Park" - 773 m (10 min.)
  • CAR SERVICES

  • Car park "lidl" - 582 m (8 min.)
  • Petrol station "Petrol" - 613 m (8 min.)
  • Car wash - 701 m (9 min.)
  • PUBLIC BUILDINGS & INSTITUTIONS

  • Church "hram Sv. Nikolay Mirlikiyski Chudotvorets" - 785 m (10 min.)

REQUEST DETAILS

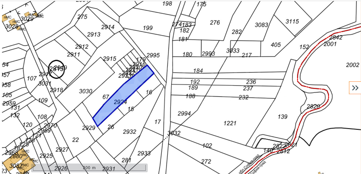
48 000
(17 €/m2) Area: 2 784.00 m2   
  • $
  • £
We accept credit, debit cards & PayPal
Online payments by virtual POS terminal
Agency commission due
FOR MORE INFORMATION Property ref: Sfa 85097

When calling, please quote the property reference number.

Ivan Kamenov

Ivan Kamenov

Office Sofia
22, Zlaten Rog Str., floor 4, office 7, Sofia 1407 All properties (138)

REQUEST DETAILS

More properties in Sofia

A unique project that recreates the style and atmosphere of the eponymous park in New York. Best selling project in 2024
For sale
SOLE AGENTBestseller
Central Park - a gated complex of 7 buildings with 12,000 sq.m. park Sofia , Quarter Banishora A unique project that recreates the style and atmosphere of the eponymous park in New York. Best selling project in 2024 Central Park - a gated complex of 7 buildings with 12,000 sq.m. park - A unique project that recreates the style and atmosphere of the eponymous park in New York. Best selling project in 2024
from 185 874
(€/m2 2 200 - €/m2 2 800)Area: 71.49 - 187.57 m2
Ivan Krumov Senior Estate Agent, Sofia
Luxury complex with panoramic views, a prime location, nestled between urban dynamics and the mountains
For sale
new SOLE AGENT Luxury
SKY TOWERS by AMur — The new architectural symbol of Sofia Sofia , Quarter Manastirski Livadi Luxury complex with panoramic views, a prime location, nestled between urban dynamics and the mountains SKY TOWERS by AMur — The new architectural symbol of Sofia - Luxury complex with panoramic views, a prime location, nestled between urban dynamics and the mountains
from 196 366
(€/m2 3 120 - €/m2 4 260)Area: 62.18 - 202.24 m2
Magdalena Tosheva Senior Estate Agent, Sofia
Premium apartments with energy independence and modern architecture meters away from the ideal center of Sofia
For sale
SOLE AGENT Luxury
219 DONDUKOV – a new perspective on urban living Sofia , Quarter Hadji Dimitar Premium apartments with energy independence and modern architecture meters away from the ideal center of Sofia 219 DONDUKOV – a new perspective on urban living - Premium apartments with energy independence and modern architecture meters away from the ideal center of Sofia
from 167 932
(€/m2 2 580 - €/m2 2 760)Area: 65.09 - 148.19 m2
Nikolay Popov Senior Estate Agent, Sofia
A building that benefits from a great location and various city amenities nearby
For sale
SOLE AGENT Luxury
SYNERA Residence – New Homes in Manastirski Livadi - East Sofia , Quarter Manastirski Livadi A building that benefits from a great location and various city amenities nearby SYNERA Residence – New Homes in Manastirski Livadi - East - A building that benefits from a great location and various city amenities nearby
from 125 000
(€/m2 2 396 - €/m2 3 211)Area: 52.17 - 208.03 m2
Daniela Toteva Senior Estate Agent, Sofia
Modern urban design, excellent location and flexible payment plans – your new home in Sofia
For sale
SOLE AGENT Property of the week Luxury
Corner Park – Exclusive New Residential Development in Sofia, Suhata Reka Sofia , Quarter Suhata Reka Modern urban design, excellent location and flexible payment plans – your new home in Sofia Corner Park – Exclusive New Residential Development in Sofia, Suhata Reka - Modern urban design, excellent location and flexible payment plans – your new home in Sofia
from 98 538
(€/m2 1 850 - €/m2 2 500)Area: 44.79 - 249.28 m2
Ivan Kamenov Estate Agent, Sofia
Modern comfort and investment security in the heart of Malinova Dolina district
For sale
SOLE AGENT
Stylish new project in Malinova Dolina – modern apartments in a pleasant residential area Sofia , Quarter Malinova Dolina Modern comfort and investment security in the heart of Malinova Dolina district Stylish new project in Malinova Dolina – modern apartments in a pleasant residential area - Modern comfort and investment security in the heart of Malinova Dolina district
from 134 500
(€/m2 1 683 - €/m2 2 200)Area: 67.03 - 143.95 m2
Magdalena Tsoklinova Senior Estate Agent, Sofia
Last apartments in a new building in the quarter of Malinova Dolina
For sale
SOLE AGENTBestseller
New homes, modern design and top location near National Sports Academy in Sofia Sofia , Quarter Malinova Dolina Last apartments in a new building in the quarter of Malinova Dolina New homes, modern design and top location near National Sports Academy in Sofia - Last apartments in a new building in the quarter of Malinova Dolina
from 110 000
(€/m2 1 750 - €/m2 1 953)Area: 56.31 - 102.52 m2
Magdalena Tsoklinova Senior Estate Agent, Sofia
Building with 12 apartments in the greenery and tranquility of the village of Vladaya
For sale
Small boutique building near Sofia Vladaya Building with 12 apartments in the greenery and tranquility of the village of Vladaya Small boutique building near Sofia - Building with 12 apartments in the greenery and tranquility of the village of Vladaya
from 102 573
(€/m2 1 750 - €/m2 1 900)Area: 53.99 - 92.92 m2
Nikolay Popov Senior Estate Agent, Sofia
1- and 2-bedroom apartments, high-quality construction
For sale
SOLE AGENT
Luxury urban complex of two buildings Green View Apartments in Kniazhevo district Sofia , Quarter Knyazhevo 1- and 2-bedroom apartments, high-quality construction Luxury urban complex of two buildings Green View Apartments in Kniazhevo district - 1- and 2-bedroom apartments, high-quality construction
from 174 000
(€/m2 2 098 - €/m2 3 248)Area: 68.07 - 268.82 m2
Nikolay Popov Senior Estate Agent, Sofia
Apartments with 1, 2 or 3 bedrooms in luxurious 9-storey building
For sale
Apartments with central location next to Slivnitsa Blvd. with Act 14 Sofia , Quarter Center Apartments with 1, 2 or 3 bedrooms in luxurious 9-storey building Apartments with central location next to Slivnitsa Blvd. with Act 14 - Apartments with 1, 2 or 3 bedrooms in luxurious 9-storey building
from 167 664
(€/m2 2 450 - €/m2 2 800)Area: 59.88 - 170.01 m2
Nikolay Popov Senior Estate Agent, Sofia
Apartments with 1, 2 or 3 bedrooms near Vitosha and with convenient connections to the center of the capital
For sale
New building with only 16 apartments in Manastirski livadi quarter - east Sofia , Quarter Manastirski Livadi Apartments with 1, 2 or 3 bedrooms near Vitosha and with convenient connections to the center of the capital New building with only 16 apartments in Manastirski livadi quarter - east - Apartments with 1, 2 or 3 bedrooms near Vitosha and with convenient connections to the center of the capital
from 234 253
(€/m2 2 045)Area: 114.54 - 201.08 m2
Nikolay Popov Senior Estate Agent, Sofia
New apartments with excellent location at the foot of Vitosha
For sale
New building with two sections next to the National Sports Academy Sofia , Quarter Malinova Dolina New apartments with excellent location at the foot of Vitosha New building with two sections next to the National Sports Academy - New apartments with excellent location at the foot of Vitosha
from 120 395
(€/m2 2 350 - €/m2 2 560)Area: 49.75 - 160.33 m2
Nikolay Popov Senior Estate Agent, Sofia
Last shops and 2-bedroom apartments in a complex with green areas and received Act 16
For sale
Luxury
Reina Sofia Residence - high-class housing, energy class A, near Zoo Sofia and Loven Park Sofia , Quarter Krustova Vada Last shops and 2-bedroom apartments in a complex with green areas and received Act 16 Reina Sofia Residence - high-class housing, energy class A, near Zoo Sofia and Loven Park - Last shops and 2-bedroom apartments in a complex with green areas and received Act 16
from 341 000
(€/m2 2 883 - €/m2 3 552)Area: 118.26 - 122.45 m2
Magdalena Tosheva Senior Estate Agent, Sofia
Apartments with 1, 2 and 3 bedrooms in a new complex with an excellent location in Mladost 4 district
For sale
Apartment near Business Park Sofia Sofia , Quarter Mladost 4 Apartments with 1, 2 and 3 bedrooms in a new complex with an excellent location in Mladost 4 district Apartment near Business Park Sofia - Apartments with 1, 2 and 3 bedrooms in a new complex with an excellent location in Mladost 4 district
from 210 330
(€/m2 2 250 - €/m2 2 705)Area: 87.80 - 202.38 m2
Nikolay Popov Senior Estate Agent, Sofia
Modern apartment complex with spacious layouts
For sale
SOLE AGENTBestseller
Malinova Dolina Residential Complex - Apartments for Sale Sofia , Quarter Malinova Dolina Modern apartment complex with spacious layouts Malinova Dolina Residential Complex - Apartments for Sale - Modern apartment complex with spacious layouts
from 310 000
(€/m2 1 863 - €/m2 2 042)Area: 151.80 - 191.62 m2
Magdalena Tsoklinova Senior Estate Agent, Sofia
Stylish apartments in a new residential complex with a great location. Perfect for investment!
For sale
SOLE AGENTBestseller
Vitosha View - an emblematic complex in Krastova Vada area Sofia , Quarter Krustova Vada Stylish apartments in a new residential complex with a great location. Perfect for investment! Vitosha View - an emblematic complex in Krastova Vada area - Stylish apartments in a new residential complex with a great location. Perfect for investment!
from 429 000
(€/m2 2 618)Area: 163.89 - 163.89 m2
Magdalena Tosheva Senior Estate Agent, Sofia
Modern city home with a perfect location, bright rooms, and the possibility of finishing
For sale
new Luxury
Elegant two-bedroom apartment in a boutique building in Krastova Vada district Sofia , Quarter Krustova Vada Modern city home with a perfect location, bright rooms, and the possibility of finishing Elegant two-bedroom apartment in a boutique building in Krastova Vada district - Modern city home with a perfect location, bright rooms, and the possibility of finishing
317 400
(€/m2 2 760)Area: 115.00 m2
Kiril Kalenderski Estate Agent, Sofia
2-bedroom apartment with separate kitchen and convenient access to Slivnitsa Blvd. and metro station
For rent
new
Furnished apartment near the West Park in Lyulin 10 district Sofia , Quarter Lyulin 10 2-bedroom apartment with separate kitchen and convenient access to Slivnitsa Blvd. and metro station Furnished apartment near the West Park in Lyulin 10 district - 2-bedroom apartment with separate kitchen and convenient access to Slivnitsa Blvd. and metro station
Furnished apartment in Pavlovo district
For rent
new
One bedroom apartment for rent in the town of Sofia Sofia , Quarter Pavlovo Furnished apartment in Pavlovo district One bedroom apartment for rent in the town of Sofia - Furnished apartment in Pavlovo district
450
(€/m2 8,18)Area: 55.00 m2
Ivan Kamenov Estate Agent, Sofia
Property with excellent layout – light, coziness, and comfort in a modern urban environment
For sale
new
Spacious two-bedroom apartment in a gated complex near the National Sports Academy Sofia , Quarter Studentski Grad Property with excellent layout – light, coziness, and comfort in a modern urban environment Spacious two-bedroom apartment in a gated complex near the National Sports Academy - Property with excellent layout – light, coziness, and comfort in a modern urban environment
215 000
(€/m2 2 529)Area: 85.00 m2
Kiril Kalenderski Estate Agent, Sofia
Spacious and well-designed home in a prestigious development combining city comfort
For sale
new Luxury
2-Bedroom Apartment in a Modern Gated Complex near Krasno Selo Metro and Market Sofia , Quarter Slaviya Spacious and well-designed home in a prestigious development combining city comfort 2-Bedroom Apartment in a Modern Gated Complex near Krasno Selo Metro and Market - Spacious and well-designed home in a prestigious development combining city comfort
318 000
(€/m2 2 450)Area: 129.82 m2
Daniela Toteva Senior Estate Agent, Sofia
Business property suitable for a logistics center, production and distribution with a convenient connection to the capital
For sale
new
Warehouse with offices on a main road in Lozen village Lozen Business property suitable for a logistics center, production and distribution with a convenient connection to the capital Warehouse with offices on a main road in Lozen village - Business property suitable for a logistics center, production and distribution with a convenient connection to the capital
3 418 500
(€/m2 1 590)Area: 2 150.00 m2
Ivan Kamenov Estate Agent, Sofia
Ready-to-move-in apartment near metro stations, key boulevards and other central city amenities
For rent
new
1-bedroom apartment near the University of Architecture, Civil Engineering and Geodesy Sofia , Quarter Center Ready-to-move-in apartment near metro stations, key boulevards and other central city amenities 1-bedroom apartment near the University of Architecture, Civil Engineering and Geodesy - Ready-to-move-in apartment near metro stations, key boulevards and other central city amenities
Brand new apartment with panoramic view in luxury building next to the metro station G.M. Dimitrov
For rent
new Luxury
2-bedroom apartment in new emblematic building in Dianabad district Sofia , Quarter Dianabad Brand new apartment with panoramic view in luxury building next to the metro station G.M. Dimitrov 2-bedroom apartment in new emblematic building in Dianabad district - Brand new apartment with panoramic view in luxury building next to the metro station G.M. Dimitrov
1 150
(€/m2 8,98)Area: 128.00 m2
Ivan Kamenov Estate Agent, Sofia
Two-bedroom apartment in a well-maintained building with convenient access to Tsar Boris III Blvd.
For rent
new SOLE AGENT
Spacious and stylishly furnished two-bedroom apartment for rent in Karpuzitsa district Sofia , Quarter Karpuzitsa Two-bedroom apartment in a well-maintained building with convenient access to Tsar Boris III Blvd. Spacious and stylishly furnished two-bedroom apartment for rent in Karpuzitsa district - Two-bedroom apartment in a well-maintained building with convenient access to Tsar Boris III Blvd.
See all

See also:

REQUEST DETAILS